Soap Note Properties
It will enable users to create properties for soap notes that will be available for all clinicians of your organization.

Choose the desired ‘Label,” select desired ‘Property Type’ and then click on ‘Save.’
Property Types
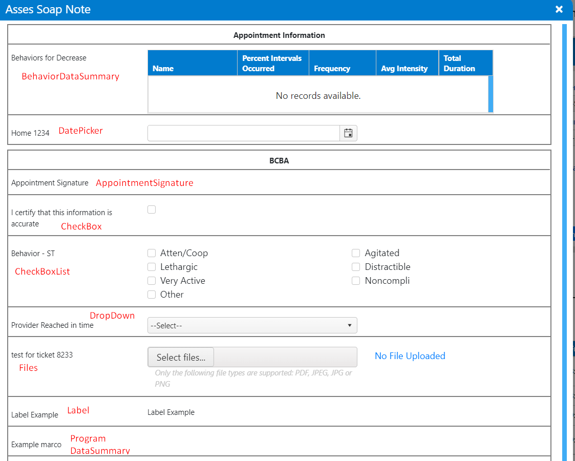
Below is an example of how the property types will look in a Soap Note.


Users can also edit or delete any Soap note Property by clicking on edit or delete icons at the leftmost end of the listed properties.